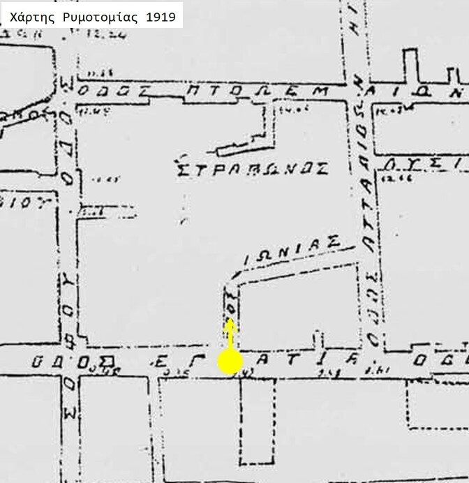
Η παλαιά οδός Ιωνίας στο σημείο που συναντούσε την Εγνατία

Φωτογραφία της σειράς “Small Traders” που εκδόθηκε σε καρτ-ποστάλ κατά τη διάρκεια του Α΄ Παγκοσμίου Πολέμου, απεικονίζει έναν άγνωστο πλανόδιο φωτογράφο την ώρα της εργασίας του. Η ταυτότητα της οδού παρέμενε άγνωστη στον χάρτη της πόλης. Πρόσφατα εντοπίστηκε από μια αεροφωτογραφία και ταυτοποιήθηκε. Πρόκειται για την πρώτη φωτογραφική εμφάνιση της παλαιάς οδού Ιωνίας στο σημείο που συναντούσε την Εγνατία.

Στάθης Ασλανίδης

Facebook: https://www.facebook.com/thessalonikilostcity/posts/pfbid0211zqLatEq2x98XGsPL24tpZ394XicAfWJuaraxmiTGsKRkiEy65Qn8UzMGJBXZJl

Στην παλιά ρυμοτομία, η οδός Ιωνίας ήταν ένας μικρός δρόμος στο κέντρο της πόλης η οποία διέσχιζε τα παλιά οικοδομικά τετράγωνα 247 και 248. Η αρχή της ήταν στο βόρειο πεζοδρόμιο της Εγνατίας στο σημείο που βρίσκεται σήμερα η Αγορά Κολόμβου. Από εκεί, συνέχιζε βόρεια και μετά στρίβοντας ανατολικά σχηματίζοντας ένα Γ, κατέληγε στην καταργημένη οδό Ατταλιδών.

Η φωτογραφία προέρχεται από τον ιστότοπο Delcmampe, Item n°1819541775

Λόγω της χαμηλής ανάλυσης της αεροφωτογραφίας από το βιβλίο της Αλέκας Γερόλυμπου «Το Χρονικό της Μεγάλης Πυρκαγιάς», η σύγκριση με την οδό Ιωνίας επέτρεψε την αναγνώριση μόνο μερικών κοινών σημείων. Τα πλέον καθοριστικά στοιχεία για την ταύτιση της οδού ήταν η ύπαρξη ενός πλατάνου, η συγκεκριμένη σειρά και διάταξη των παραθύρων, καθώς και το σαχνισί στη δυτική γωνία του δρόμου.

Στον κίτρινο κύκλο η θέση της λήψης με κατεύθυνση το βέλος.